








Then I Met You Bong² Bounce Cream, Allure Best of Beauty 2025, Lightweight Gel Cream Barrier Moisturizer with Omega-3 Fatty Acids, and Ceramides, Cruelty-Free, Hydration for Oily Skin, 1.69 fl oz
$66.70
About This
- A LIGHTWEIGHT GEL MOISTURIZER THAT HYDRATES ALL DAY: This ultralight, airy gel cream glides onto skin with a weightless touch and instantly skin feels 4x more hydrated immediately after use/after 1 use, blending seamlessly under makeup
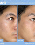
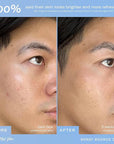
- BRIGHTENING POWER FROM HALLABONG CITRUS FRUIT VITAMIN C: Hallabong extract, harvested on Jeju Island, is packed with vitamin C and antioxidants that visibly fade dark spots and smooth uneven skin tone. Clinical studies show a nine times improvement in elasticity, revealing skin that appears brighter, firmer, more radiant, and youthful in just 1 use.
- NOURISHMENT WITH HONEY, SEABERRY AND SQUALANE: Honey seals moisture in as a natural humectant, seaberry oil enriches with antioxidants and fatty acids that enhance skin’s resilience, and plant-based squalane boosts cell regeneration. Together, they leave skin silky, supple, and deeply hydrated with every luxurious application.
- BARRIER PROTECTION WITH CERAMIDES FOR EVERY SKIN TYPE: Ceramides are lipids that fortify the skin barrier, preventing water loss and shielding against environmental stressors. This support helps restore balance and calm, ensuring the face feels firm, resilient, and visibly healthier with lasting hydration.
- ALLURE AWARD-WINNING KOREAN SKINCARE ESSENTIAL: Crowned Best of Allure 2025 for skincare, this TSA-friendly 50mL cream features a clean formula free from parabens, silicones, alcohol, and synthetic fragrance. It is also recognized as PopSugar’s 2025 Best Moisturizer for proven results and a luminous glow.
- LEAPING BUNNY CERTIFIED: Absolutely no animal testing—ever; from formulation to final product, every ingredient and partner meets the highest cruelty-free standards, backed by verified sourcing and third-party oversight. Traceable. Transparent. 100% guilt-free.
Overview
- Brand : Then I Met You
- Item Volume : 1.69 Fluid Ounces
- Item dimensions L x W x H : 2.67 x 2.64 x 2.56 inches
- Age Range (Description) : Adult
- Special Feature : Lightweight